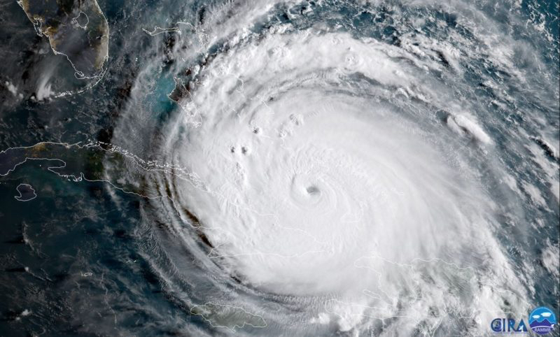
Dare County Emergency Management personnel are warning against complacency, but all the tools the National Hurricane Center use to predict hurricanes show Irma making landfall Sunday morning at the tip of Florida. Sam Walker reports for the Outer Banks Voice.

“The latest forecasts for record-breaking Hurricane Irma keep the strongest winds and heaviest rainfall well inland, with the Outer Banks only getting high surf into next week and some gusty showers and thunderstorms on Tuesday.
But local officials still warn that residents and visitors should not let their guard down just yet.
“At this point, even small changes in the track of Irma could lead to greater impacts for our area,” said Dare County Emergency Management Director Drew Pearson.”
[box type=”bio”] With all hurricane track guidance in agreement, landfall for Hurricane Irma should at the tip of the Florida Peninsula Sunday morning the Outer Banks Voice reports.[/box]